Oxycarenus hyalinipennis
| Oxycarenus hyalinipennis | |
|---|---|
| |
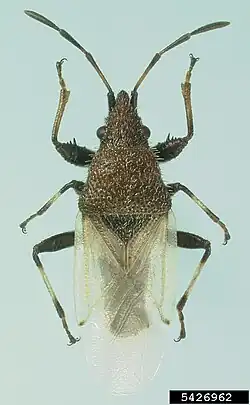
| Adult | |
| Scientific classification | |
| Kingdom: | Animalia |
| Phylum: | Arthropoda |
| Class: | Insecta |
| Order: | Hemiptera |
| Suborder: | Heteroptera |
| Family: | Lygaeidae |
| Genus: | Oxycarenus |
| Species: | O. hyalinipennis
|
| Binomial name | |
| Oxycarenus hyalinipennis (A. Costa, 1843)
| |
| Synonyms | |
| |
Oxycarenus hyalinipennis, common name cotton seed bug, is a species of plant bug belonging to the family Lygaeidae, subfamily Oxycareninae.[1]
Distribution
This widespread species can be found in Southern Europe (Bosnia and Herzegovina, Bulgaria, Croatia, France, Greece, Italy, Portugal, Spain, former Yugoslavia and Albania), in the Afrotropical realm, in the Neotropical realm, and in the Oriental realm.[2]
While historically it has been documented as an important pest of cotton in the Mediterranean region and in coastal Africa,[3] it is an invasive species whose range has expanded over the last three decades to include islands of the Caribbean region.[4]
Description
Oxycarenus hyalinipennis can reach a length of about 3.8 mm in males, of 4.3 mm in females. Therefore, males are slightly smaller than females. Body of these bugs is black with translucent wings. Head is black, with brownish-black antennae. The second antennal segment usually is partially pale yellow. Pronotum is blackish-brown. Corium is usually yellowish-whitish and hyaline. Femora are black, while tibiae are brown with a yellow-white band.
Nymphs have pink to red abdomen.
Biology
This species may have three to four generations per year. Females of these bugs lay about twenty eggs. This species goes through five nymphal stages. A generation lasts about twenty days.
It is a polyphagous insect, and it has been documented as a prominent pest upon the following genera within family Malvaceae: Abutilon, Cola, Eriodendron, Gossypium, Malva, Sphaeralcea, Hibiscus, Pavonia, Sida, Dombeya, Sterculia and Triumfetta.[1][5] Of these, Gossypium appears to be the preferred host,[3][6] but significant pest presence on okra has also been reported.
References
- ^ a b Samy, O. 1969. A revision of the African species of Oxycarenus (Hemiptera: Lygaeidae). Transactions of the Royal Entomological Society of London 121(4): 79 – 165. link
- ^ Fauna europaea
- ^ a b Adu-Mensah, K and Kumar, R. 1977. Ecology of Oxycarenus species (Heteroptera: Lygaeidae) in southern Ghana. Biological Journal of the Linnean Society. 9(4): 349 – 377.
- ^ Baranowski, RM; and J.A. Slater. 2005. The Lygaeidae of the West Indies. University of Florida, Institute of Food and Agricultural Sciences. Florida Agricultural Experimental Station Bulletin 402. 266 pp.
- ^ Dimetry, N. Z. (1971). Studies on the host preference of the cotton seed bug Oxycarenus hyalinipennis (Costa) (Lygaeidae: Hemiptera). Z. Ang. Ent. 68:63-67.
- ^ Kirkpatrick, TW. 1923. The Egyptian cotton seed bug Oxycarenus hyalinipennis (Costa). Its Bionomics, damage and suggestions for remedial measures. Bulletin, Ministry of Agriculture, Egypt, Technical and Scientific Service. 35: 107 pp.
