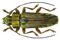
Tmesisternus rufipes

Tmesisternus rufipes
Scientific classification Edit this classification
Kingdom: Animalia
Phylum: Arthropoda
Class: Insecta
Order: Coleoptera
Suborder: Polyphaga
Infraorder: Cucujiformia
Family: Cerambycidae
Genus: Tmesisternus
Species:
T. rufipes
Binomial name
Tmesisternus rufipes
Blanchard, 1853
Synonyms
  • Tmesisternus vittatus Breuning, 1956
  • Tmesisternus buruensis Breuning, 1950
  • Tmesisternus tenimberanus ? Breuning, 1973

Tmesisternus rufipes is a species of beetle in the family Cerambycidae. It was described by Émile Blanchard in 1853.[1]

References

  1. ^ BioLib.cz - Tmesisternus rufipes. Retrieved on 8 September 2014.